MLS #40762
Oak Bluffs Real Estate
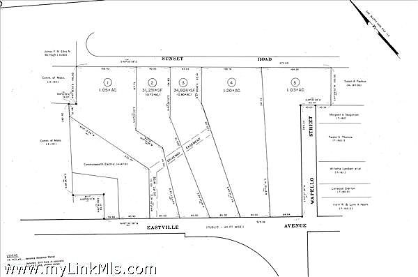
EXISTING FIVE (5) LOT SUBDIVISION IN OAK BLUFFS. THESE LOTS ARE ALREADY SUBDIVIDED. Almost 5 Acres of wooded, level land within half a mile of Eastville Beach, Doug's Cove Preserve (4.6 acres of Land Bank Property) and less than a mile to Oak Bluffs Harbor. NEW Shared Use Path runs along Eastville Avenue, when finished will link Vineyard Haven and Oak Bluffs for walking and cycling. Septic permits in place for two lots. Lot #1 - 147.2 (45,782sq.ft.) Permit in place for an APPROVED 6 Bedroom Septic System; Lot #2 - 147.3 - (31,320sq.ft.) 6 Bedroom Septic System Designed and submitted, NOT YET approved; Lot #3 - 147.4 - (34,824sq.ft.) 6 Bedroom Septic System Designed and submitted, NOT YET approved; Lot #4 - (52,451sq.ft.) 6 Bedroom Septic System Designed, NOT YET submitted; Lot #5 - (45,074sq.ft.) - Permit in place, APPROVED for a 4 Bedroom Septic System. Lot # 5 - May have access directly from Wapello Street. Ten (10) Bedrooms have been approved. Applications for an additional Twelve (12) Bedrooms are in process. Lot#2 - Application for 6 bedrooms. Lot#3 - Application for 6 Bedrooms. Lot #4 is undetermined at this point. Access may be allowed via Sunset Road or Eastville Avenue. Water is available via Sunset Road, at the property. Electricity is on site. Buyer is responsible for verifying any and all information on this property.
Share
Price: $4,400,000
0 Eastville Avenue
Oak Bluffs, 02568
Oak Bluffs, 02568
Type: Land
Lot Size: 4.80 acres
Area
Oak Bluffs
Subdivision
Lagoon/Harbor
Zoning
R1
Water
Town
Sewer
Septic
Listing Agent
Lohan-Conway, Alisan
Listing Office
Alisan Lohan-Conway Properties
